Просто ремарка, Дмитрий: скорее укол будет правильнее по смыслу (стинг это жало).
Болезни и вредители яблони
Модераторы: Домовой, Модераторы
-
urrr
- Прихозовец1000+
- Сообщения: 1219
- Зарегистрирован: 23.09.2016, 00:57
- Репутация: 1
- Откуда: Москва - Чехов
- Благодарил (а): 6577 раз
- Поблагодарили: 1085 раз
Болезни и вредители яблони
Юрий
-
Sizuka
- Дачник
- Сообщения: 13
- Зарегистрирован: 29.10.2021, 13:25
- Репутация: 0
- Интересы: Сад, розы, рисование)
- Откуда: Архангельск
- Благодарил (а): 1 раз
- Поблагодарили: 1 раз
Болезни и вредители яблони
Здравствуйте. Заметила странное явление на ветках яблони (однолетний прирост): кора вокруг некоторых почек почернела, почки не развиваются, далее вокруг них кора как будто вспучивается и лопается, при этом рядом и выше и ниже могут находится абсолютно здоровые почки. Если сковырнуть такое место, то под почкой древесина коричневая. Что это и что нужно сделать? Зима была очень снежная, но не морозная, и избирательность поврежденных почек сбивает с толку
-
Климыч
- Прихозовец100+
- Сообщения: 242
- Зарегистрирован: 29.01.2012, 14:24
- Репутация: 0
- Интересы: Садоводство
- Откуда: СПб, дача в Кировском районе Лен. области.
- Благодарил (а): 453 раза
- Поблагодарили: 95 раз
Болезни и вредители яблони
Я подобные повреждения рацениваю как повреждения морозом, может ошибаюсь. У меня на некоторых побегах груши иногда встречаются.Sizuka писал(а): ↑20.05.2022, 16:39 Здравствуйте. Заметила странное явление на ветках яблони (однолетний прирост): кора вокруг некоторых почек почернела, почки не развиваются, далее вокруг них кора как будто вспучивается и лопается, при этом рядом и выше и ниже могут находится абсолютно здоровые почки. Если сковырнуть такое место, то под почкой древесина коричневая. Что это и что нужно сделать? Зима была очень снежная, но не морозная, и избирательность поврежденных почек сбивает с толкуF468E340-1245-4AF8-8D6C-38C81590CB0B.jpeg
-
Захарка
- Дачник
- Сообщения: 28
- Зарегистрирован: 08.10.2012, 15:24
- Репутация: 1
- Благодарил (а): 1 раз
- Поблагодарили: 5 раз
Болезни и вредители яблони
На моей яблоне no name осенью обнаружила сажистый налет на стволе и крупных ветках. Почистила, обработала железным купоросом и успокоилась до весны. А весной увидела вот это, яблоня истекает соком, На коре мелкие дырочки, местами кора начала отслаиваться заплатками, и это продолжается до сих пор. На остальных деревьях этого нет. Про жука прочитала, но там другая картина кмк.
- Кэп
- Прихозовец1000+
- Сообщения: 1290
- Зарегистрирован: 01.01.2019, 17:49
- Репутация: 1
- Интересы: Сад
- Занятие: Защита прав собственности
- Откуда: Москва, участок Талдомский район МО
- Благодарил (а): 1430 раз
- Поблагодарили: 481 раз
Болезни и вредители яблони
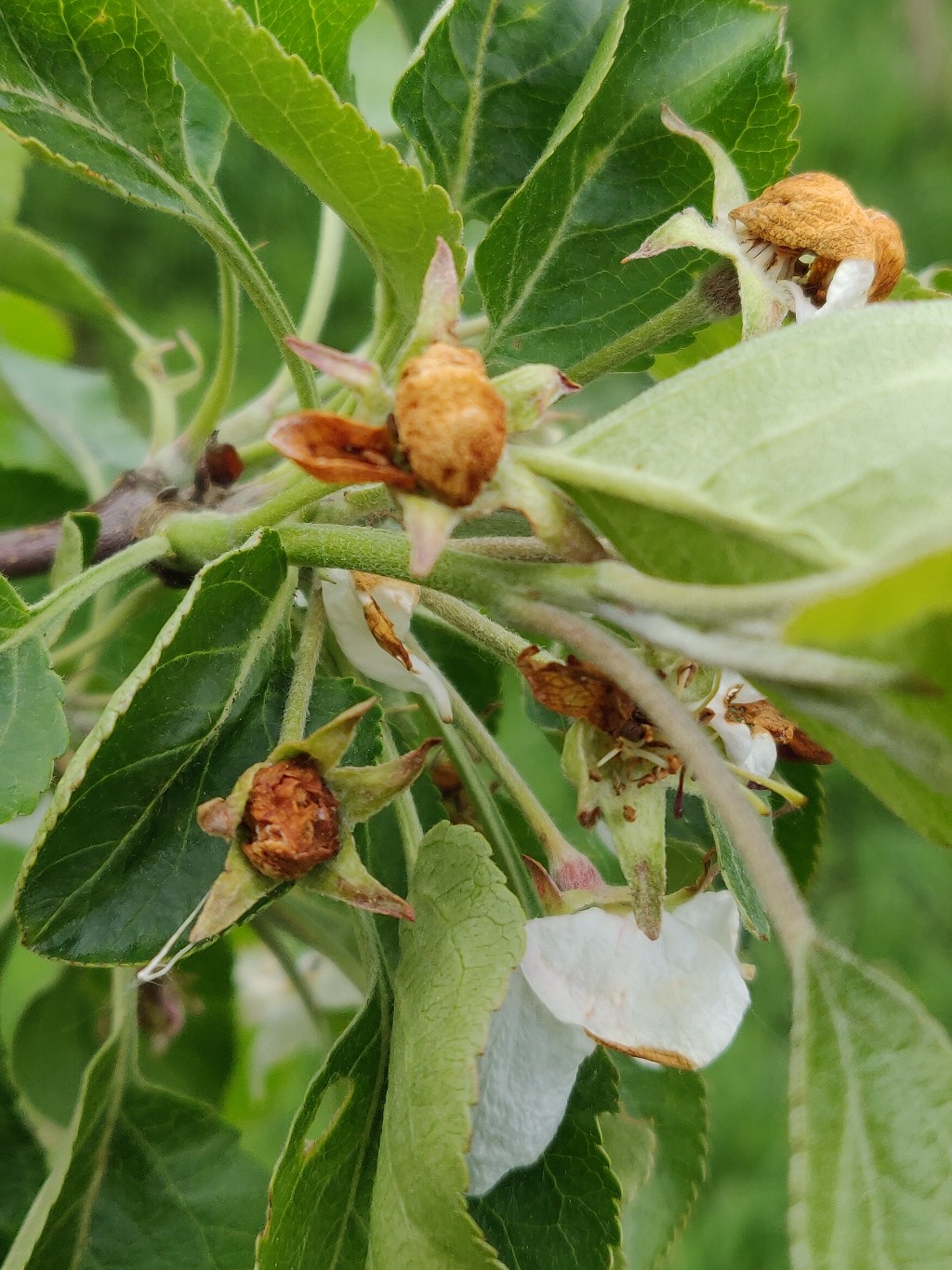
Доброго дня всем добрым людям
В этом году много странных повреждений цветков яблони:
Уральское наливное: Богатырь: Кто что подскажет? Это работа цветоеда, тли? Грибковые поражения, ржавчина, бакожег?

В этом году много странных повреждений цветков яблони:
Уральское наливное: Богатырь: Кто что подскажет? Это работа цветоеда, тли? Грибковые поражения, ржавчина, бакожег?
Просто живу... сад Талдомский район МО
-
Виталий О.
- Прихозовец2000+
- Сообщения: 2616
- Зарегистрирован: 03.07.2018, 09:49
- Репутация: 1
- Откуда: Нижний Новгород
- Благодарил (а): 1054 раза
- Поблагодарили: 2011 раз
Болезни и вредители яблони
Цветоеда да, много. Но это не страшно. Главное чтобы плодожорки много не было.
- Роман С.
- Модератор
- Сообщения: 5335
- Зарегистрирован: 20.10.2013, 23:24
- Репутация: 1
- Откуда: Рязань
- Благодарил (а): 7906 раз
- Поблагодарили: 10641 раз
Болезни и вредители яблони
У меня в прошлом году цветоед сожрал 100% цветов. В этом году его вновь много, но я обработал БИ-58 по зеленому конусу. И повреждений практически не имею.
-
Виталий О.
- Прихозовец2000+
- Сообщения: 2616
- Зарегистрирован: 03.07.2018, 09:49
- Репутация: 1
- Откуда: Нижний Новгород
- Благодарил (а): 1054 раза
- Поблагодарили: 2011 раз
- Роман С.
- Модератор
- Сообщения: 5335
- Зарегистрирован: 20.10.2013, 23:24
- Репутация: 1
- Откуда: Рязань
- Благодарил (а): 7906 раз
- Поблагодарили: 10641 раз
Болезни и вредители яблони
Это первый такой случай на моей памяти. Тем не менее очень обидный, потому как планировалось первое цветение Ханикриспа, хорошие виды на урожай были у Лобо, Иманта, Союза. Так что решил больше на самотек данную ситуацию не отпускать. Лобо вообще очень любит цветоед. На данный момент есть небольшой процент поврежденных бутонов именно на Лобо и Коваленковском, на остальных сортах чисто. Лобо просто обязательно нужно обрабатывать, иначе урожайность будет скромная.
-
Дед31
- Прихозовец100+
- Сообщения: 632
- Зарегистрирован: 23.06.2019, 12:43
- Репутация: 1
- Интересы: Всё помаленьку
- Занятие: Самозанятый сомелье
- Откуда: Белгород
- Благодарил (а): 201 раз
- Поблагодарили: 344 раза
Болезни и вредители яблони
А пчелок не жалко? А кто будет опылять Ваши деревья в следующем году?
А мед с диметоатом наверное вкуснее.
С уважением, Михаил.
-
Лето
- Прихозовец1000+
- Сообщения: 1092
- Зарегистрирован: 05.03.2021, 02:13
- Репутация: 1
- Интересы: Садоводство
- Откуда: Москва и ЮВ МО
- Благодарил (а): 1253 раза
- Поблагодарили: 2207 раз
Болезни и вредители яблони
А пчёлки стали опылять почки с зелёным конусом?
Би-58 обрабатывал в апреле, не записал дату. Первая яблоня зацвела 19 мая (Вильямс Прайд), 2-я 21 мая. Около половины сортов начали цвести в июне (Жеромин, Гала, Снэпдрагон и др.). Несколько сортов зацветут в ближайшие дни (Санкрисп и др.)
Последний раз редактировалось Лето 05.06.2022, 02:24, всего редактировалось 1 раз.
мой e-mail : info@sadystolitcy.ru
-
Дед31
- Прихозовец100+
- Сообщения: 632
- Зарегистрирован: 23.06.2019, 12:43
- Репутация: 1
- Интересы: Всё помаленьку
- Занятие: Самозанятый сомелье
- Откуда: Белгород
- Благодарил (а): 201 раз
- Поблагодарили: 344 раза
Болезни и вредители яблони
А то, что диметоат системник и срок ожидания на яблоне 40 дней Вас не смущает? Или этот срок ожидания только для потребителей яблок? А может у Вас яблоня зацветает через 40 дней после образования зеленого конуса?
С уважением, Михаил.
- Роман С.
- Модератор
- Сообщения: 5335
- Зарегистрирован: 20.10.2013, 23:24
- Репутация: 1
- Откуда: Рязань
- Благодарил (а): 7906 раз
- Поблагодарили: 10641 раз
Болезни и вредители яблони
А вам знакомо понятие - класс опасности для пчел? У Актары и БИ-58 - это 1-й класс опасности (высокоопасные). Ограничение лета пчел - 4-6 суток. Обработку проводил 01.05.2022, начало цветения яблони в этом году в районе 20 мая. И?
Классы опасности пестицидов для пчел. Регламенты их применения
Пестициды, получившие государственную регистрацию до 2004 года:
1класс опасности – ВЫСОКООПАСНЫЕ ДЛЯ ПЧЕЛ пестициды, Необходимо соблюдение следующего экологического регламента:
– проводить обработку растений ранним утром или поздним вечером;
– при температурах воздуха – ниже 15;
– при скорости ветра до 1–2 м/с;
– погранично-защитная зона для пчел – не менее 4–5 км;
– ограничение лёта пчел – 96–120 часов.
2 класс опасности – СРЕДНЕОПАСНЫЕ ДЛЯ ПЧЕЛ пестициды. Необходимо соблюдение следующего экологического регламента:
– проводить обработку растений в утренние или вечерние часы;
– при температурах воздуха – ниже 15;
– при скорости ветра до 2–3 м/с;
– погранично-защитная зона для пчел – не менее 3–4 км;
– ограничение лёта пчел – 48–72 часа.
3 класс опасности – МАЛООПАСНЫЕ ДЛЯ ПЧЕЛ пестициды. Необходимо соблюдение следующего экологического регламента:
– проводить обработку растений в утренние или вечерние часы;
– при температурах воздуха – ниже 15;
– при скорости ветра до 4–5 м/с;
– погранично-защитная зона для пчел – не менее 3–4 км;
– ограничение лёта пчел – 24–48 часов
4 класс опасности – ПРАКТИЧЕСКИ НЕОПАСНЫЕ ДЛЯ ПЧЕЛ пестициды. Необходимо соблюдение следующего экологического регламента:
– проводить обработку растений;
– при скорости ветра до 5–6 м/с;
– погранично-защитная зона для пчел – не менее 1–2 км;
– ограничение лёта пчел – 06–12 часов.
Пестициды, получившие государственную регистрацию с 2006 года:
1 класс опасности – ВЫСОКООПАСНЫЕ. Необходимо соблюдение экологического регламента:
– проведение обработки растений вечером после захода солнца;
– при скорости ветра 1–2 м/с;
– погранично-защитная зона для пчел - 4–5 км;
– ограничение лёта пчел - 4–6 суток.
2 класс опасности – СРЕДНЕОПАСНЫЕ. Необходимо соблюдение экологического регламента:
– проведение обработки растений вечером после захода солнца;
– при скорости ветра 2–3 м/с;
– погранично-защитная зона для пчел 3–4 км;
– ограничение лёта пчел 2–3 суток.
3 класс опасности – МАЛООПАСНЫЕ Необходимо соблюдение экологического регламента:
– проведение обработки растений в утреннее или вечернее время;
– при скорости ветра 4–5 м/с;
– погранично-защитная зона для пчел 2–3 км;
– ограничение лёта пчел 3–24 часа.
Взято отсюда - https://www.apiworld.ru/1351062311.html
Пестициды, получившие государственную регистрацию до 2004 года:
1класс опасности – ВЫСОКООПАСНЫЕ ДЛЯ ПЧЕЛ пестициды, Необходимо соблюдение следующего экологического регламента:
– проводить обработку растений ранним утром или поздним вечером;
– при температурах воздуха – ниже 15;
– при скорости ветра до 1–2 м/с;
– погранично-защитная зона для пчел – не менее 4–5 км;
– ограничение лёта пчел – 96–120 часов.
2 класс опасности – СРЕДНЕОПАСНЫЕ ДЛЯ ПЧЕЛ пестициды. Необходимо соблюдение следующего экологического регламента:
– проводить обработку растений в утренние или вечерние часы;
– при температурах воздуха – ниже 15;
– при скорости ветра до 2–3 м/с;
– погранично-защитная зона для пчел – не менее 3–4 км;
– ограничение лёта пчел – 48–72 часа.
3 класс опасности – МАЛООПАСНЫЕ ДЛЯ ПЧЕЛ пестициды. Необходимо соблюдение следующего экологического регламента:
– проводить обработку растений в утренние или вечерние часы;
– при температурах воздуха – ниже 15;
– при скорости ветра до 4–5 м/с;
– погранично-защитная зона для пчел – не менее 3–4 км;
– ограничение лёта пчел – 24–48 часов
4 класс опасности – ПРАКТИЧЕСКИ НЕОПАСНЫЕ ДЛЯ ПЧЕЛ пестициды. Необходимо соблюдение следующего экологического регламента:
– проводить обработку растений;
– при скорости ветра до 5–6 м/с;
– погранично-защитная зона для пчел – не менее 1–2 км;
– ограничение лёта пчел – 06–12 часов.
Пестициды, получившие государственную регистрацию с 2006 года:
1 класс опасности – ВЫСОКООПАСНЫЕ. Необходимо соблюдение экологического регламента:
– проведение обработки растений вечером после захода солнца;
– при скорости ветра 1–2 м/с;
– погранично-защитная зона для пчел - 4–5 км;
– ограничение лёта пчел - 4–6 суток.
2 класс опасности – СРЕДНЕОПАСНЫЕ. Необходимо соблюдение экологического регламента:
– проведение обработки растений вечером после захода солнца;
– при скорости ветра 2–3 м/с;
– погранично-защитная зона для пчел 3–4 км;
– ограничение лёта пчел 2–3 суток.
3 класс опасности – МАЛООПАСНЫЕ Необходимо соблюдение экологического регламента:
– проведение обработки растений в утреннее или вечернее время;
– при скорости ветра 4–5 м/с;
– погранично-защитная зона для пчел 2–3 км;
– ограничение лёта пчел 3–24 часа.
Взято отсюда - https://www.apiworld.ru/1351062311.html
Замечание по диметоату. Использовать его можно только до появления завязи. Есть исследования, что имеет свойство накапливаться в плодах. Но для ранневесенней обработки от цветоеда или на маточниках вполне допустимо. Тем более, препарат очень дешевый.
-
Дед31
- Прихозовец100+
- Сообщения: 632
- Зарегистрирован: 23.06.2019, 12:43
- Репутация: 1
- Интересы: Всё помаленьку
- Занятие: Самозанятый сомелье
- Откуда: Белгород
- Благодарил (а): 201 раз
- Поблагодарили: 344 раза
Болезни и вредители яблони
Роман С., А Вам известно чем питаются пчелы?
1. Пчелы с цветков собирают нектар, который становится ядовитым (препарат системник)
2. Пчелы собирают пыльцу (тоже ядовитая, т.к препарат ситемник) и смешивая с медом получают пергу, которой кормят расплод. В итоге расплод погибает.
Ограничение лета пчел - 4-6 суток, это чтобы защитить пчел от непосредственного контакта с препаратом, пока он не впитается в растение.
"препарат очень дешевый."- весомый аргумент
1. Пчелы с цветков собирают нектар, который становится ядовитым (препарат системник)
2. Пчелы собирают пыльцу (тоже ядовитая, т.к препарат ситемник) и смешивая с медом получают пергу, которой кормят расплод. В итоге расплод погибает.
Ограничение лета пчел - 4-6 суток, это чтобы защитить пчел от непосредственного контакта с препаратом, пока он не впитается в растение.
"препарат очень дешевый."- весомый аргумент

С уважением, Михаил.